メインコンテンツへスキップ

Pro Park

Venta de Lotes Industriales y Bodegas

Nuevo Parque Industrial "Pro Park" en El Arenal, Jalisco.
Se ubica en el municipio de El Arenal, Jalisco y pertenece a la reconocida “Ruta del Tequila”. La principal actividad industrial es la elaboración de tequila seguido por la fabricación de productos alimenticios y empaquetamiento de carnes frías. El corredor industrial de Tala al que pertenece Huaxtla cuenta con diversas empresas de giros varios desde agrícola hasta de innovación y logística.

UBICACIÓN Pro Park

Ubicado sobre Carretera Guadalajara Ameca, en El Arenal, Jalisco.
Cómo Llegar

LOTES INDUSTRIALES

Lotes industriales disponibles en preventa:
  • 9 - 800.00 m.2 - $4,356,000
  • 11 - 800.00 m.2 - $4,356,000
  • 12 - 800.00 m.2 - $4,356,000
  • 13 - 2,106.37 m.2 - $10,426,532
Estrena tu bodega hoy
y págala a crédito
Conoce las opciones que el mercado tiene para ofrecerte y conserva tu liquidez

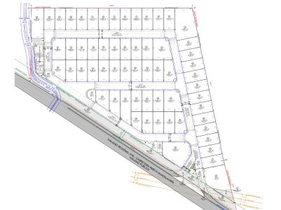
MASTER PLAN

Desarrollo de 60 lotes individuales para Industria Ligera y de Riesgo Bajo.
Lotes tipo con áreas promedio de 800 mts.2

ESPECIFICACIONES:

  • Vialidades de Concreto hidráulico
  • Instalaciones eléctricas ½ tensión
  • Red contra incendios
  • Planta de tratamiento de agua
  • Pozo de agua propio
  • 21 cajones de estacionamiento en centro de negocios
  • 2 droplots

AMENIDADES:

  • Caseta de control de accesos y salidas vehiculares
  • Ciclo Puertos
  • Business Center
  • CCTV, Seguridad 24 horas

CENTRO DE NEGOCIOS:

  • Recepción
  • Sala de Juntas
  • Salón de usos múltiples
  • Baños
  • Cocineta
  • Wifi
  • 21 cajones de estacionamiento

BODEGAS EN RENTA EN Pro Park

Disponibilidad de Bodegas en Renta en Parque Industrial Pro Park
Contáctanos para mas información de precios y disponibilidad de la renta de bodegas.

Para más Información

Permite que un Asesor se ponga en contacto para darte mas información y aclarar cualquier pregunta, simplemente llenando este formulario:
Por favor teclea aqui tu nombre completo.
Por favor revisa que tu correo-e este bien escrito.
Por favor revisa tu numero de celular.
Invalid Input

* Indica Dato Requerido

ASESORÍA PERSONALIZADA

Asesoria Personalizada

Asesoria Personalizada

Asesoria Personalizada